Basswood (Tilia americana)

Tilia americana, commonly known as Basswood, American Basswood, or American Linden, is a majestic native deciduous tree that stands as one of North America’s most ecologically and culturally significant hardwoods. This member of the Malvaceae family (formerly Tiliaceae) can reach towering heights of 60 to 125 feet, creating an impressive canopy with its broad, heart-shaped leaves that flutter in even the gentlest breeze. The tree’s distinctive profile — with its straight trunk, spreading crown, and smooth gray bark — makes it easily recognizable in the mixed hardwood forests of eastern North America.
Basswood is perhaps most famous for its intensely fragrant, nectar-rich flowers that appear in midsummer, creating some of the finest honey in North America. These small, yellowish-green blossoms hang in drooping clusters from distinctive wing-like bracts that later aid in seed dispersal. The tree’s soft, workable wood has been prized for centuries by woodcarvers, Indigenous peoples, and European settlers alike, earning it the name “basswood” from the practice of using its fibrous inner bark (bast) for rope, mats, and baskets.
Beyond its practical uses, Basswood plays a crucial ecological role as a keystone species, supporting over 150 species of Lepidoptera (moths and butterflies) and providing critical habitat and food for numerous birds, mammals, and pollinators. Its shade tolerance when young, combined with its ability to reach full sun as a canopy tree, makes it an excellent choice for restoration projects, large landscapes, and anyone seeking to create habitat for native wildlife while enjoying one of North America’s most stately native trees.
Identification
Basswood is a large deciduous tree typically growing 60 to 125 feet tall with a trunk diameter of 2 to 4 feet, though exceptional specimens can exceed these dimensions. The tree develops a straight, columnar trunk when grown in forest conditions, but in open areas it creates a more spreading, oval to rounded crown that can extend 50 to 80 feet wide. Young trees have a more pyramidal shape that gradually broadens with age.
Bark
The bark is smooth and light gray on young trees, gradually developing shallow furrows and ridges as the tree matures. Older trees display a distinctive pattern of interlacing ridges separated by shallow, irregular furrows, creating a somewhat corky appearance. The inner bark is fibrous and cream-colored, historically used for making rope, mats, and cordage — hence the common name “basswood” derived from “bast,” referring to this fibrous inner bark.
Leaves
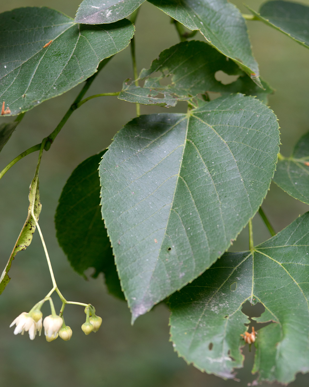
The leaves are perhaps Basswood’s most distinctive feature — large, heart-shaped, and asymmetrical at the base, measuring 4 to 8 inches long and 3 to 6 inches wide. They are arranged alternately on the branches, with prominent parallel veins running from the midrib to the serrated leaf margins. The upper surface is dark green and smooth, while the underside is paler green, sometimes with small tufts of hair in the vein axils. The leaves have long petioles (leaf stalks) that allow them to flutter conspicuously in even light breezes, creating a shimmering effect in the canopy. In fall, the foliage turns a beautiful clear yellow before dropping.
Flowers & Fruit
Basswood’s flowers are its claim to fame — small, creamy yellow to pale green blossoms that appear in drooping clusters of 5 to 20 flowers in early to mid-summer. Each flower measures about ¼ inch across with five petals and numerous stamens, creating an intensely fragrant display that can perfume the air for considerable distances. The flowers hang from a distinctive pale green, leaf-like bract that is 2 to 4 inches long and serves as a wing for the developing fruit.
The fruit consists of small, round, gray to brown nutlets about ¼ inch in diameter, each containing one to two seeds. These nutlets remain attached to the wing-like bract, which acts as a natural helicopter blade, spinning the seeds away from the parent tree when they fall in autumn. The seeds are an important food source for birds and small mammals.

Quick Facts
| Scientific Name | Tilia americana |
| Family | Malvaceae (Mallow) |
| Plant Type | Deciduous Tree |
| Mature Height | 60–125 ft |
| Sun Exposure | Part Shade |
| Water Needs | Moderate |
| Bloom Time | June – July |
| Flower Color | Creamy yellow |
| USDA Hardiness Zones | 3–8 |
Native Range
Basswood is native to eastern North America, with a natural range extending from southeastern Manitoba and southern Quebec south to northern Georgia and Alabama, and from the Atlantic coast west to eastern Minnesota, Iowa, eastern Kansas, and eastern Oklahoma. This extensive range makes it one of the most widespread native hardwood trees in North America, though it reaches its greatest size and abundance in the northern portions of its range where cooler, moister conditions prevail.
The species is most commonly found in rich, moist soils of deciduous and mixed forests, often growing alongside Sugar Maple (Acer saccharum), American Elm (Ulmus americana), Red Oak (Quercus rubra), and White Ash (Fraxinus americana). It thrives in valley bottoms, gentle slopes, and areas with deep, well-drained but consistently moist soils. Basswood is somewhat shade-tolerant when young, allowing it to regenerate in forest understories, but it requires eventual access to full sunlight to reach its full potential as a canopy species.
Historically, vast forests dominated by Basswood and Sugar Maple covered much of the Great Lakes region and northeastern United States. While logging and land conversion have reduced these forests significantly, Basswood remains an important component of many eastern hardwood forest communities and continues to be valued for both its ecological and economic importance.
📋 Regional plant lists featuring Basswood: North Carolina & South Carolina
Growing & Care Guide
Basswood is a relatively easy tree to grow when provided with the rich, moist conditions it prefers in nature. While it can be challenging to establish from seed due to hard seed coat dormancy requirements, nursery-grown trees transplant well and grow steadily once established.
Light
While mature Basswood trees perform best in full sun, they are quite shade-tolerant when young, making them excellent understory trees that can eventually grow into the canopy. This characteristic allows Basswood to work well in woodland gardens and forest restoration projects. In full sun, trees develop a more compact, dense crown, while those grown in partial shade tend to be more open and may lean toward light sources.
Soil & Water
Basswood thrives in deep, rich, well-drained but consistently moist soils with a slightly acidic to neutral pH (6.0–7.5). The species prefers fertile soils high in organic matter, similar to those found in natural deciduous forests. While established trees can tolerate brief dry periods, they perform best with consistent moisture and will show stress during extended droughts. Avoid planting in heavy clay soils with poor drainage, as this can lead to root rot and poor performance.
Planting Tips
Plant Basswood in spring or fall, choosing a location with plenty of space for its eventual large size. The tree needs at least 40 feet of clearance from buildings and utilities due to its broad spreading habit. When planting, dig a hole twice as wide as the root ball but no deeper, ensuring the root flare is at ground level. Water thoroughly after planting and apply 3-4 inches of organic mulch around the base, keeping mulch several inches away from the trunk.
Pruning & Maintenance
Young Basswood trees benefit from structural pruning to develop a strong central leader and well-spaced scaffold branches. Prune during dormancy (late fall to early spring) to avoid attracting insects to fresh cuts. Remove dead, damaged, or crossing branches, and thin the canopy if it becomes too dense. Mature trees rarely need pruning except for removal of dead or hazardous branches by a certified arborist.
Landscape Uses
Basswood’s large size and specific requirements make it suitable for specific landscape applications:
- Large estates and parks where space allows for its impressive mature size
- Woodland restoration and reforestation projects
- Wildlife habitat gardens — exceptional value for native fauna
- Honey production — highly valued by beekeepers for superior nectar
- Specimen tree in spacious yards with rich, moist soils
- Stream corridor restoration and riparian buffers
- Educational landscapes — excellent for teaching forest ecology

Wildlife & Ecological Value
Basswood stands among North America’s most ecologically valuable native trees, supporting an extraordinarily diverse array of wildlife species and serving as a keystone species in eastern deciduous forests.
For Birds
The seeds of Basswood are consumed by numerous bird species, including American Goldfinches, Pine Siskins, Red-breasted Nuthatches, and various woodpeckers. The tree’s large size and branching structure provide excellent nesting sites for cavity-nesting birds, and the abundant insect life it supports feeds countless insectivorous species. During the brief but intense flowering period, hummingbirds and other nectar feeders visit the blossoms, though bees are the primary pollinators.
For Mammals
Many mammals utilize Basswood for food and shelter. White-tailed Deer browse the foliage and young shoots, while rabbits and other small mammals consume the bark and twigs. Squirrels and chipmunks gather the seeds, and larger mammals like Black Bears may strip bark to access the sweet inner cambium layer. The tree’s large trunk and branching structure provide denning sites for various mammals.
For Pollinators
Basswood is legendary among beekeepers for producing some of the finest honey in North America. The small flowers are extraordinarily rich in nectar and attract vast numbers of honeybees, native bees, and other pollinators during the 2-3 week flowering period in midsummer. A single mature tree in full bloom can support hundreds of thousands of bees and produces honey with a distinctive, highly prized flavor described as fresh and slightly minty.
Ecosystem Role
Perhaps most remarkably, Basswood serves as a host plant for over 150 species of Lepidoptera (moths and butterflies), making it one of the top native trees for supporting caterpillar diversity. This includes several sphinx moths, underwing moths, and numerous micro-moths. The tree’s large leaves decompose rapidly, enriching forest soils with nutrients and organic matter. As a canopy dominant in many forest types, Basswood helps create the structural complexity that supports diverse forest communities.
Cultural & Historical Uses
Basswood holds a rich cultural history spanning thousands of years of Indigenous use and centuries of European-American utilization. Native American tribes throughout the tree’s range recognized Basswood as one of their most valuable resources, calling it the “tree of life” for its numerous practical applications. The Ojibwe, Potawatomi, Menominee, and other Great Lakes tribes harvested the fibrous inner bark (bast) to create rope, fishing nets, baskets, mats, and even clothing. The bark fibers were so important that entire villages would relocate seasonally to be near prime Basswood groves during harvest time.
The tree’s soft, lightweight wood proved ideal for carving, and Indigenous artisans created bowls, ladles, masks, and ceremonial objects from Basswood lumber. The inner bark was also used medicinally — teas made from the bark were used to treat coughs, colds, and respiratory ailments, while poultices were applied to burns and wounds. The flowers were gathered to make a soothing tea still popular in European herbal traditions today.
European settlers quickly adopted many of these uses and added their own applications. Basswood became the preferred wood for carving, especially for decorative elements in furniture and architecture. The wood’s ability to take fine detail without splitting made it invaluable for woodcarvers, and it remains the wood of choice for many carving applications today. During the 19th and early 20th centuries, Basswood lumber was used extensively for paper pulp, boxes, crates, and excelsior (wood wool used for packing).
The tree’s reputation for producing exceptional honey led to its cultivation near apiaries, and “Basswood honey” remains one of the most sought-after varieties among honey connoisseurs. Today, while industrial uses have largely been replaced by other materials, Basswood continues to be valued by woodcarvers, beekeepers, and herbalists, and increasingly by conservationists and ecological restorationists who recognize its keystone role in eastern forest ecosystems.
Frequently Asked Questions
How long does it take for Basswood to reach maturity?
Basswood is a moderately fast-growing tree, typically adding 12-24 inches in height per year under ideal conditions. It may take 40-60 years to reach significant size and begin producing substantial flower crops, with full maturity occurring after 80-100 years. Trees can live 200+ years in forest conditions.
Can Basswood be grown from seed?
Yes, but it requires patience. Basswood seeds have hard seed coats that require cold stratification for 90-120 days to break dormancy. Even with proper treatment, germination can be sporadic, and seedlings grow slowly for the first few years. Most gardeners find it easier to purchase nursery-grown trees.
Is Basswood messy in the landscape?
Basswood does drop leaves in fall and flowers/fruits in summer, but it’s not considered exceptionally messy compared to other large deciduous trees. The main consideration is providing adequate space for its large mature size and seasonal leaf drop.
Why is Basswood honey so special?
Basswood flowers produce exceptionally high-quality nectar with a unique chemical composition that creates honey with a distinctive, highly prized flavor profile. The nectar flow during Basswood’s brief flowering period can be so intense that a single hive may collect 100+ pounds of honey in just 2-3 weeks.
Can Basswood grow in my region?
Basswood is hardy in USDA zones 3-8 and is native to much of eastern North America. It performs best in areas with adequate rainfall and rich soils, struggling in hot, dry climates or areas with poor soils. Check with local extension services about its suitability for your specific location.

Looking for a nursery that carries Basswood?
Browse our native plant nursery directory: North Carolina · South Carolina
